Najlepsze wiadomości video z Radomia znajdziesz na naszym kanale na YouTube - TUTAJ.
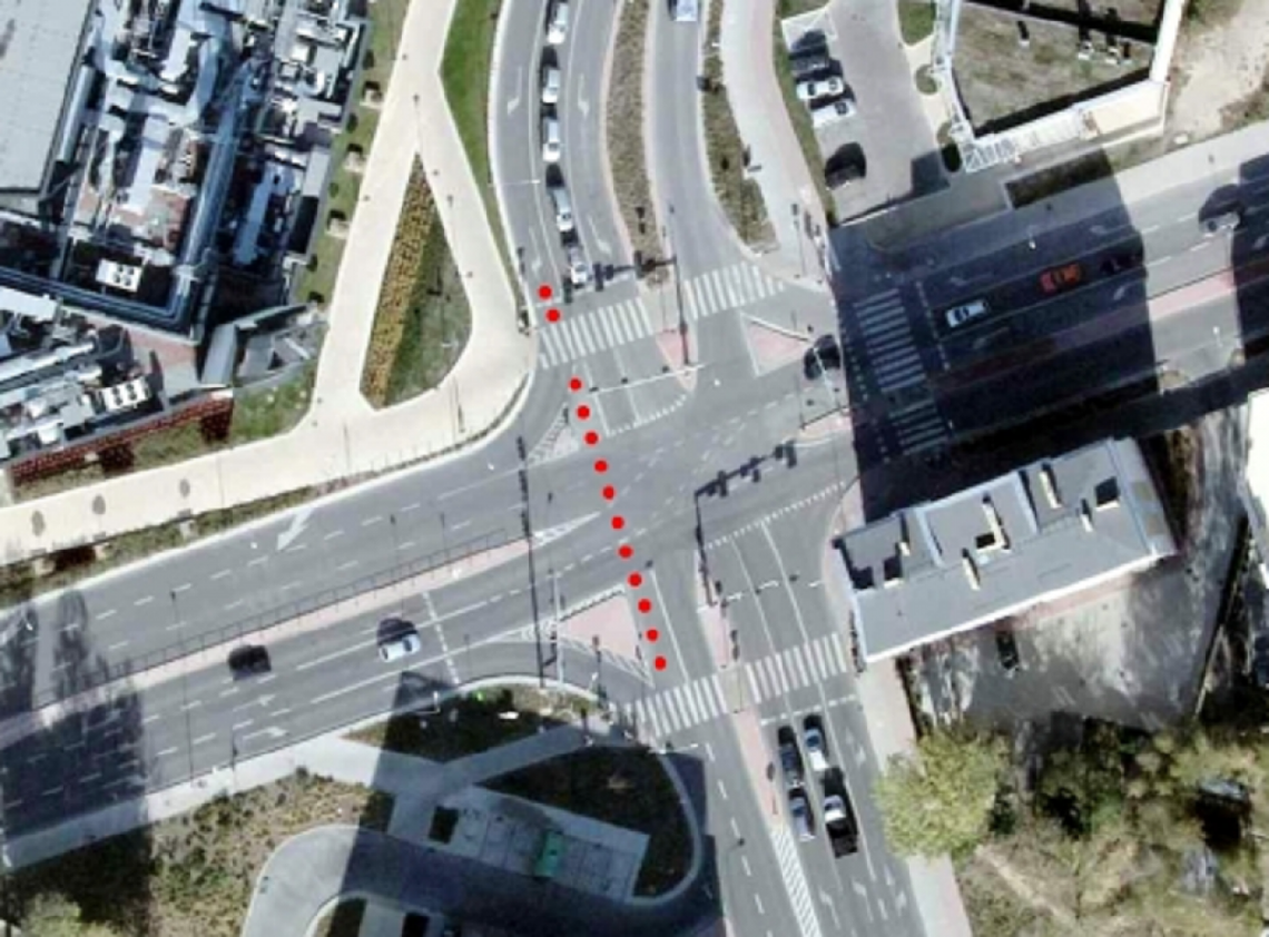
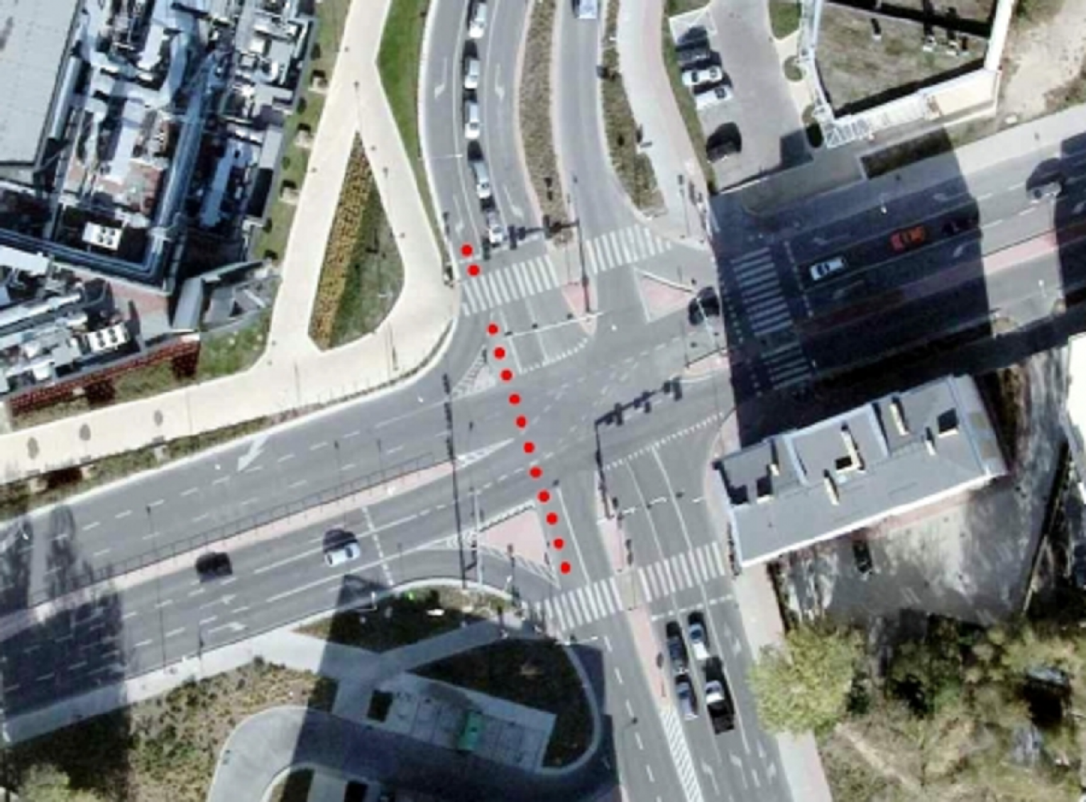
Bractwo wnioskowało o przejazd na wprost, od ul. Mariackiej, przez skrzyżowanie Młodzianowska/1905 Roku i na wprost z pasa zewnętrznego ul. Chrobrego przez skrzyżowanie Struga/Pileckiego.
W piśmie odmownym Miejski Zarząd Dróg i Komunikacji wyjaśnił, że „rowerzyści poruszający się od strony ul. Mariackiej w kierunku ul. Młodzianowskiej mają możliwość przejazdu przez skrzyżowanie wykorzystując istniejące przejazdy rowerowe na trzech wlotach". Zdaniem MZDiK proponowane rozwiązanie naraziłoby rowerzystów na kolizję. Ponadto, budowa skrzyżowania wyklucza jazdę na wprost.
W piśmie do Bractwa Rowerowego czytamy przy tym, że „zarząd rozważy możliwość wykonania przejścia i przejazdu dla rowerzystów typu „tukan" na wlocie ul. 1905 Roku. Dzięki temu rozwiązaniu rowerzyści będą mogli pokonać skrzyżowanie nie narażając się na kolizję z pojazdami”.
W przypadku skrzyżowania ul. Struga i Pileckiego odmowa podyktowana jest wzmożonym ruchem autobusów skręcających w prawo z ul. Chrobrego w ul. Struga, a zatrzymujący się przed skrzyżowaniem rowerzyści blokowaliby manewr. Dodatkowym argumentem przeciw jest analiza natężenia ruchu, z której wynika, że na przedmiotowym skrzyżowaniu nie występuje ruch rowerowy z ul. Chrobrego w ul. Pileckiego”.
Najświeższe wiadomości z Radomia i regionu znajdziesz na profilu CoZaDzien.pl na Facebooku - TUTAJ.














